21.95 亿拿地!联发时光新澍展厅开放,四季度入市在即
上海进深 严明会 10月30日,青浦新城联发·时光新澍接待展厅已开放,将推建面约73-186m²小高层&洋房,四季度即将入市。

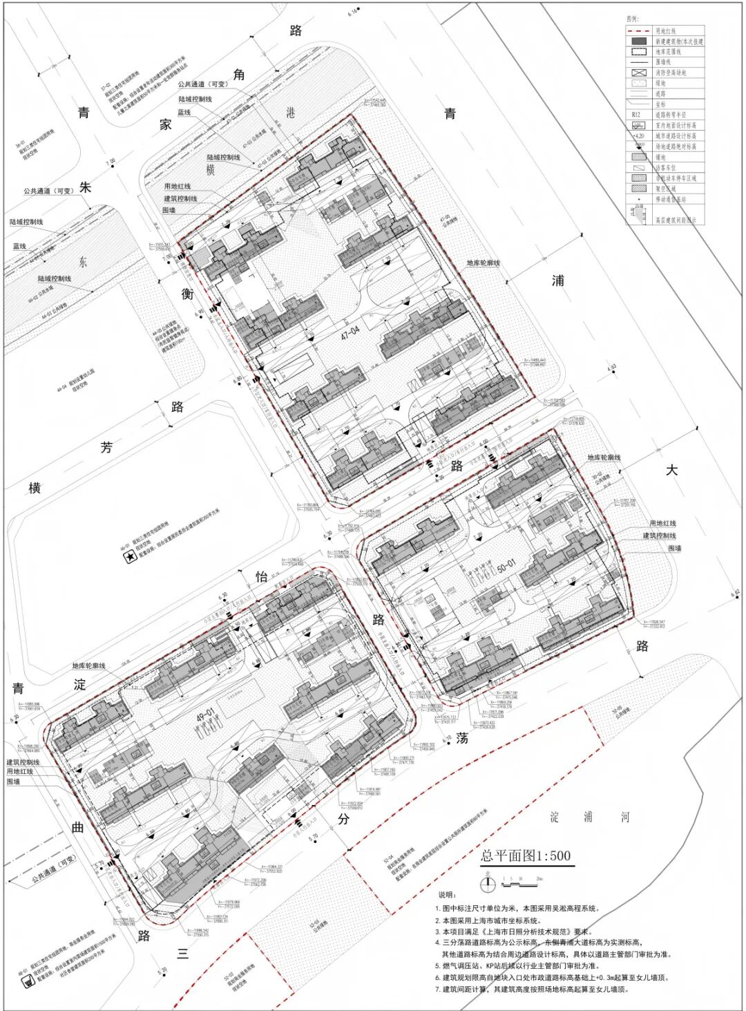
7月24日上海第六轮土拍中,青浦新城未来城市样板区的五幅大体量地块组合出让,最终由联发集团以约21.95亿元竞得,成交楼板价约1.49万元/㎡。
五幅地块总出让面积7.04万㎡,其中三幅为住宅地块(容积率1.8-2.5),两幅为商业地块(容积率1.2)。
项目共规划30幢住宅,其中47-04地块建设8幢14-17层高层住宅,49-01地块建设7幢13-14F高层和1幢5F多层,50-01地块规划建设4幢14-17层高层和1幢6F多层。
三个住宅地块均做了局部首层架空,49-01地块配置了一个300㎡的生境花园。

17号线串联万亿产业、百万人才,是驱动长三角一体化发展的经济脊梁。联发·时光新澍以此为脉,高效衔接西岑科创中心、市西软件信息园、虹桥国际开放枢纽等关键节点,从容链接产业机遇与都会精彩。
教育配套:九年一贯制学校(规划中)、上海青浦兰生学校、上海青浦平和双语学校、复旦大学附属中学、思源中/小学等全龄优教近伺,书香浓荫护航下一代菁英成长(仅作距离表述,不作学区承诺)。
商业配套:约600m青浦最大商业体万达茂、东渡悦来城、吾悦广场,主流商圈汇集万般繁华,便捷都会生活。
医疗配套:复旦大学附属中山医院国家医学中心青浦新城院区(已封顶,预计2026年投入使用)、复旦大学附属中山医院青浦分院、上海市青浦区中医医院。
财经号声明: 本文由入驻中金在线财经号平台的作者撰写,观点仅代表作者本人,不代表中金在线立场。仅供读者参考,并不构成投资建议。投资者据此操作,风险自担。同时提醒网友提高风险意识,请勿私下汇款给自媒体作者,避免造成金钱损失,风险自负。如有文章和图片作品版权及其他问题,请联系本站。
