屈晨调规又更名,北投栖澐湾太折腾了
文/北京进深 徐迪
上周四(11月6日),北投栖澐湾官微发文称:
“数日后,北投栖澐湾四季生活诗学馆将正式揭开面纱。”
原以为它会在接下来的周末开放售楼处,眼看又一个周末快到了,还是没有准确消息。
不过,这个项目拿地至今已经两年多了,确实也不差这几天的进度。
栖澐湾是北投置业在通州张家湾的新盘,这之前,它的案名叫“云帆汀澜”,近期才正式更名。
在宣传小片中,新案名被注释为:“栖”居时代主场,“澐”酿全球风尚,“湾”入世界潮流中心。
谐音梗玩得也是很接地气了。
今年通州好几个新盘都带了云字,栖澐湾保留了“云”音,又加了所在张家湾的水元素。
更重要的是,与兄弟盘晟景汀澜起码在案名上做了分割,避免同一产品系的联想。

01、取证半年后调规
栖澐湾所在北京城市副中心1102-6003、6004地块成交2023年6月20日,由北投置业以25.9亿元底价摘得,楼面价2.57万元/㎡。
销售指导价:期房指导价5.5万/㎡,现房指导价5.7万/㎡。
其中,西区6003地块早在今年1月26日就取得预售许可证,备案名为“云帆汀澜嘉园”。
当时的推广案名还是云帆汀澜。
此后大半年的时间,始终没有开放样板间,市场上这个项目的存在感非常弱,大部分动态还停留在1月底取证的节点。
甚至北投置业的官微也很少提到这个项目。
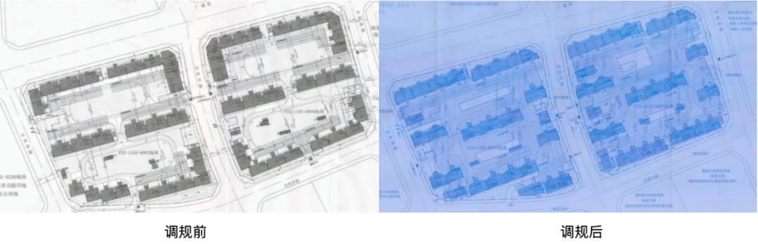
直到8月中旬,一份重新调整的设计方案公示。
北投置业表示,对设计方案进行调整,是为打造绿色、低碳智能、安全、舒适的“好房子”。
整体来看,调整涉及总平面图、户型、立面配套、技术经济指标等诸多细项。
然而,最受关注的还是,它增加了开敞阳台等新规配置,跻身四代宅好房子行列。

相较前一版方案,项目主要调整:
1、取消东西向住宅,全部调整为南北向住宅;
2、根据“好房子”政策调整总体布局、户型等;
3、配套商业原方案设于地上,现方案全部集中布置,围绕下沉广场,设于地下一层;
4、结合社区入口位置设置邻里共享空间;
5、根据最新楼栋布置,调整满足规范,控规要求的建筑出入口,小区内的道路,地下车库出入口等;
6、根据调整后方案,技术经济指标作相应调整。

02、一半飘窗改为内嵌阳台
项目总占地4.59公顷,建筑规模10.09万㎡,容积率2.2。
调整后,地上不计容建面增至499㎡;建筑高度由此前的36米调高至45米。
规划24栋住宅楼,东西区各12栋,包括4F-15F洋房及小高层。
两幅地块的西北角2# 楼,西侧3个单元为15F小高层;
其余22栋楼均为11F及以下洋房产品,多数楼栋带顶退设计。
典型的行列式排布,多单元设计,最长2# 楼东西长78.71米,分了4个单元,每单元两户,户均面宽不足10米。
最大的调整还是将南向飘窗改为可封闭的阳台,但不是全部,只把客厅的飘窗改成了阳台。
部分边户增加侧边飘窗/转角飘窗;北向设备平台保留。
整体户型使用率将有所增加,小户型扩容有限,边户和大户型赠送面积增加较为明显。

03、小户型全线升级,三居起步
原预证下的房源户型包括建面75㎡两居、85㎡/96㎡三居、120㎡/140㎡四居,产权得房率在75-82%区间。
项目原户型没有阳台,南向为通面宽飘窗,北侧有设备平台,可扩展空间不大。
调整之后,户型建面为79/89/107/110㎡三居、120/140㎡四居。
上车户型变成了时下最受刚需欢迎的小三居。

79㎡三居一卫,89㎡三居两卫,南向飘窗全部改成阳台:
客厅是进深1.5米的开敞阳台;主卧是1.2米的设备平台。
南向按设备平台报规,这在北京新盘里还真不多见。
尽管比开敞阳台进深小,但设备平台是全赠送面积,实际上送得更多了。
在户型图上,设备平台还特意标记了无承重墙。
89㎡户型的室内格局完美对标朝棠揽阅的爆款产品。
连主卧的储物间都直接照搬了。

北投栖澐湾其它户型图↓




04、北投置业的一对难兄难弟
10月23日,调整后的方案取得了建设工程规划许可证。
随后,项目新案名发布,注册了官微,宣传资料陆续出街,主要是针对地段和开发商的推介。
项目开发主体北京北投宏象房地产开发有限公司,成立于2023年7月13日,注册资本5000万元。
今年8月底,该公司高管团队变更,李国辉接替曹山山,成为项目公司新经理;屈晨从执行董事变更为董事。
北投宏象是北投置业全资子公司,隶属于北京市国资委。
屈晨作为北投置业的总经理,同时担任栖澐湾和通州另一个项目晟景汀澜的项目公司法人。
这两个项目进度都不算太快。
栖澐湾从拿地到首次取证用了一年半的时间,取证半年后又进行了大幅调整,周转虽然慢,总归是向“好房子”靠拢了一步。
晟景汀澜自2023年底入市至今已有两年时间,410套房源,网签129套。
成交均价从最初的5万元/㎡一路下行,到最近的10月份,4套房源成交均价已跌破4.2万/㎡。

(北投栖澐湾调规前效果图)
位置上,北投栖澐湾处于东六环外,张家湾古镇片区。
项目西侧是环球度假区,北侧是城市绿心 副中心三大建筑 政务板块。
目前距离地铁站有一段距离,最近的1号线、7号线花庄站步行大约2.4公里。
距离M101线(张家湾站)直线200米左右,该线路2024年开工建设一期工程,预计于2027年开通运营。
张家湾古镇地区是城市副中心“一河三城”历史文化体系的重要支撑,是北京市非常重视的板块,将成为北京环球影城主题公园及度假区的重要补充。
现状城市界面有待改善,但随着商业配套和产业的相继落地,板块发展潜力还是能够预见的。
这或许也是北投栖澐湾不着急入市的原因之一。
经历了从里到外的焕新之后,栖澐湾能否成为北投置业冲刺年终业绩的杀手锏?
财经号声明: 本文由入驻中金在线财经号平台的作者撰写,观点仅代表作者本人,不代表中金在线立场。仅供读者参考,并不构成投资建议。投资者据此操作,风险自担。同时提醒网友提高风险意识,请勿私下汇款给自媒体作者,避免造成金钱损失,风险自负。如有文章和图片作品版权及其他问题,请联系本站。
