百年新河船厂变身滨河观光区 打造船坞文化遗址公园!
新河船厂城市更新,作为新村街及滨海新区城市更新专项规划的重要组成部分,将打造集社区服务、商业、文创服务三大功能板块的综合配套体系。
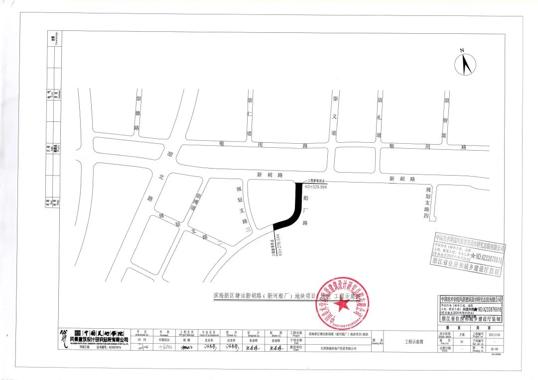
5月21日,天津市规划和自然资源局网站发布关于滨海新区塘沽新胡路(新河船厂)地块项目1地块规划方案公示。

道路规划方案示意图

依据《中华人民共和国城乡规划法》和住房和城乡建设部《关于城乡规划公开公示的规定》的有关要求,现将滨海新区塘沽新胡路(新河船厂)地块项目1地块规划方案示意图进行公示。公示时间为2024年5月21日至2024年5月29日,为期七个工作日。项目名称:滨海新区塘沽新胡路(新河船厂)地块项目1地块项目位置:滨海新区建设单位:天津港城房地产经营有限公司设计单位:中国美术学院风景建筑设计研究总院有限公司项目简介:本项目道路-船厂路位于天津滨海新区新河船厂地块,道路北起新胡路,南至船厂路与规划支路三交叉口以东约75m处,长约246.55m,城市次干路标准,双向四车道。公示期间,周边单位及个人如对公示内容发表意见,请以电子邮件或方式反馈。信函请寄:滨海新区于家堡融和路681号宝策大厦裙房行政许可服务中心邮编:300450联系人:郝威凯联系:022-66897890 (接听时间为8:30-12:00,13:30-17:30)邮 箱:gzjbhxqgs@163.com天津市规划和自然资源局滨海新区分局2024年5月21日海河畔沉寂多年的新河船厂将以全新的面貌亮相滨城

新村街道积极推动车站周边的新河船厂地块项目建设,该项目计划总投资近27.9亿元,项目建成后,将进一步提升城市品质,完善区域公共设施。
《滨海新区城市更新专项规划(2021-2035年)》中指出,将海河沿线地区打造成为世界的滨海地区,成为城市高端功能展示区、宜居生活典范区、城市会客厅和城市重要生态廊道。规划划定海河沿线两侧各1公里范围作为城市更新重点地区,加快海河沿线地区旧城、旧厂和旧村的改造。促进城市功能复合化,引入金融贸易、商业休闲、创新创意、文化体育等城市功能。

海河大梁子渡口
在这里可以看到
旧时船舶往来的工业水道焕发为一座船坞文化遗址公园

船坞两岸,镜像规划着界面时尚的主题商街,夹生出一条活力环线内街。三面围合,唯独南向——直面海河开敞。船坞堤头,高耸着的大型塔吊遗存,依旧高擎着地标旗帜。两翼展开,又将与规划中600米长的海河生态滨水公园浑然一体。

新河船坞公园



船坞两岸规划着塘沽怀旧商业走廊,北侧以一座巨大船型标志性建筑作为底景。

西侧运用丰富色彩渲染渔人生活环境,与现代网红特色打卡地,包括塘沽之家、梦幻沙滩、丛林法则、邻里果园以及滔滔水岸边的海河滨水、海河码头板块。


东区则以老塘沽发展为依托,打造记忆长廊和纪念广场,划分阳光草坪、浪漫花田、爱情港湾,沿岸依旧是海河滨水板块。


目前该地块在建项目为贻成华府,2020年12月16日上午,贻成实业集团以总价12.098亿元,折合楼面价6906元/㎡竞得位于塘沽主城区海河一线的新河船厂地块——津滨塘(挂)2020—5号住宅用。

该地块位于滨海新区塘沽区域,东至滨海龙都小区、南至海河、西至规划教育用地、北至新胡路,出让土地面积11.643万平方米,土地用途包含公园绿地、交通服务场站用地、城镇住宅用地、教育用地、城镇村道路用地和水域及水利设施用地。土地内规划了幼儿园,公共园林配套,城镇住宅等相关配套,并保留了海滨新区极具精神价值的永和船坞旧址文物。


新河船厂曾经的辉煌
塘沽新河船厂是中国最早的造船企业之一,曾经在国内外享有盛誉。它的成立和发展,见证了中国近代工业化进程中的一个重要阶段。

区域历史老照片
1、初创时期:打造第一艘自主设计建造的轮船

新河船厂地块,历史追溯百年,1903年新河材料厂码头在此初建于此。1904年,英商洋行与清政府签订了《津汉铁路合同》,其中规定必须由中国自己修建铁路,并且需要自己制造运输用的轮船。为此,清政府决定在天津设立造船厂。
1906年,塘沽新河船厂正式成立,并引进了英国先进的造船技术和设备。1912年,该厂成功建造出第一艘自主设计建造的轮船“永安号”,标志着中国民族工业迈向了一个新台阶。
1916年法国商人在塘沽海河北岸开办经营永和公司,主要从事大型机帆船制造。
1924年法商以100万银两将永和公司卖给天津海河工程局,改名为“新河材料厂”。
1942年遭日军霸占,1945年国民政府接收,更名为“海河工程局机械修理厂新河分厂”。
1949年塘沽解放,新河材料厂改名为 “海河工程处新河分厂”并修缮重启生产,新世纪2003年吸收民营资本重组成立有限责任公司,直至2014年船厂旧址被列为新区不可移动文物。
2018年政府明确旧址保护范围后,2019年土地收储,相关厂房拆除。
2、鼎盛时期“连续创下了多项纪录”
20世纪30年代至50年代是塘沽新河船厂最辉煌的时期。这个时期,该厂不断创下多项纪录:1934年建成亚洲最大、世界第二大浮坞;1948年建成全球首个能同时容纳两艘万吨级货轮拆解、拼装及维修保养的干码头;1953年完成我国第一艘万吨级货轮“海南号”的建造等等。这些成就使得该厂在国内外享有很高声誉。
3、衰落与改革之路:面对新的市场环境
20世纪80年代以后,随着市场竞争加剧和技术更新换代,塘沽新河船厂逐渐衰落。2005年之后,新河船厂一度只有修船业务,后来就彻底停产了。2016年开始,新河船厂原厂员工陆续被贻成集团买断。新河船厂旧址处的一些设备也陆续被贻成集团拍卖。除原厂保留的船坞其他设施现阶段应该已经陆续拆除了……

有句老话叫做:“能留下的才是最好的。”虽然老旧残缺、风化褪色却依然饱含历史记忆和文化遗产价值的老建筑和设施让一些曾经在那奋斗的职工和家属久久不能释怀。

文章来源:乐居买房
财经号声明: 本文由入驻中金在线财经号平台的作者撰写,观点仅代表作者本人,不代表中金在线立场。仅供读者参考,并不构成投资建议。投资者据此操作,风险自担。同时提醒网友提高风险意识,请勿私下汇款给自媒体作者,避免造成金钱损失,风险自负。如有文章和图片作品版权及其他问题,请联系本站。
