12.48亿元!中海竞得通州九棵树6017地块丨土拍快讯
11月27日,通州区老城平房棚户区改造项目一期九棵树南地块FZX-0302-6017地块挂牌截至,共有中海、北京城建两家报名。竞价开始,中海率先举牌12.4亿元,随后城建跟进,最终中海以12.48亿元竞得该宗地,楼面价约2.29万/㎡,溢价率0.97%!


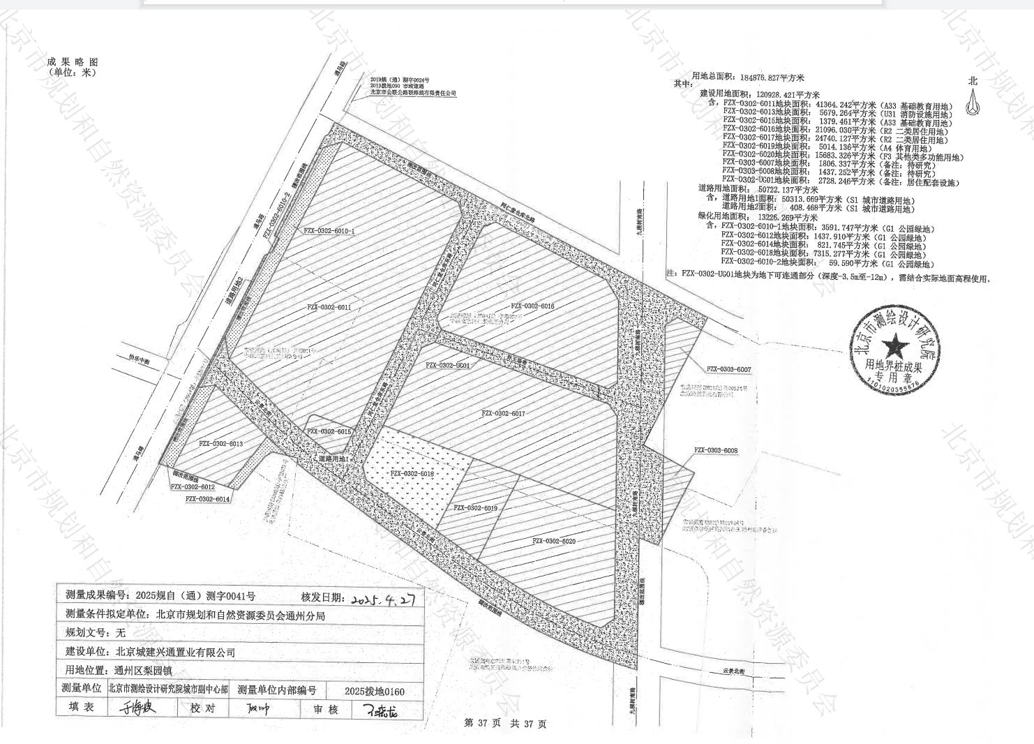
地块位于通州老城区核心九棵树板块,周边九棵树地铁站、通州阳光新生活广场、领展广场、云璟公园等生活配套齐全,地块西南侧有次新盘国誉未来悦,向东一站地的梨园板块有中国铁建花语璟云、招商云璟揽阅,再向东有金隅花溪云锦等新盘,价格区间约5-6万元/㎡。

根据挂牌文件信息,该宗地总土地面积24740.127平方米,建筑控制规模≤54428.279平方米,容积率2.2限高45米局部60米,全部为R2二类居住用地。
地块内需结合自身地块使用需求设置分布式能源站,满足新能源装机率相关要求,放置于地下;根据自身需求设置有线电视机房,最小建筑面积30平方米,电信机房以具体方案为准,放置于地下;需设置开闭站一处,占地面积300平方米以上,建筑面积600平方米以上,需放置于地上。沿九棵树中路西侧道路红线向西20米范围内空间不得建设永久性建筑,建议结合开敞空间和绿化统一设计。


乐居北京将为您持续关注地块后续信息。
文章来源:乐居买房
财经号声明: 本文由入驻中金在线财经号平台的作者撰写,观点仅代表作者本人,不代表中金在线立场。仅供读者参考,并不构成投资建议。投资者据此操作,风险自担。同时提醒网友提高风险意识,请勿私下汇款给自媒体作者,避免造成金钱损失,风险自负。如有文章和图片作品版权及其他问题,请联系本站。
